CORAL

FACTS

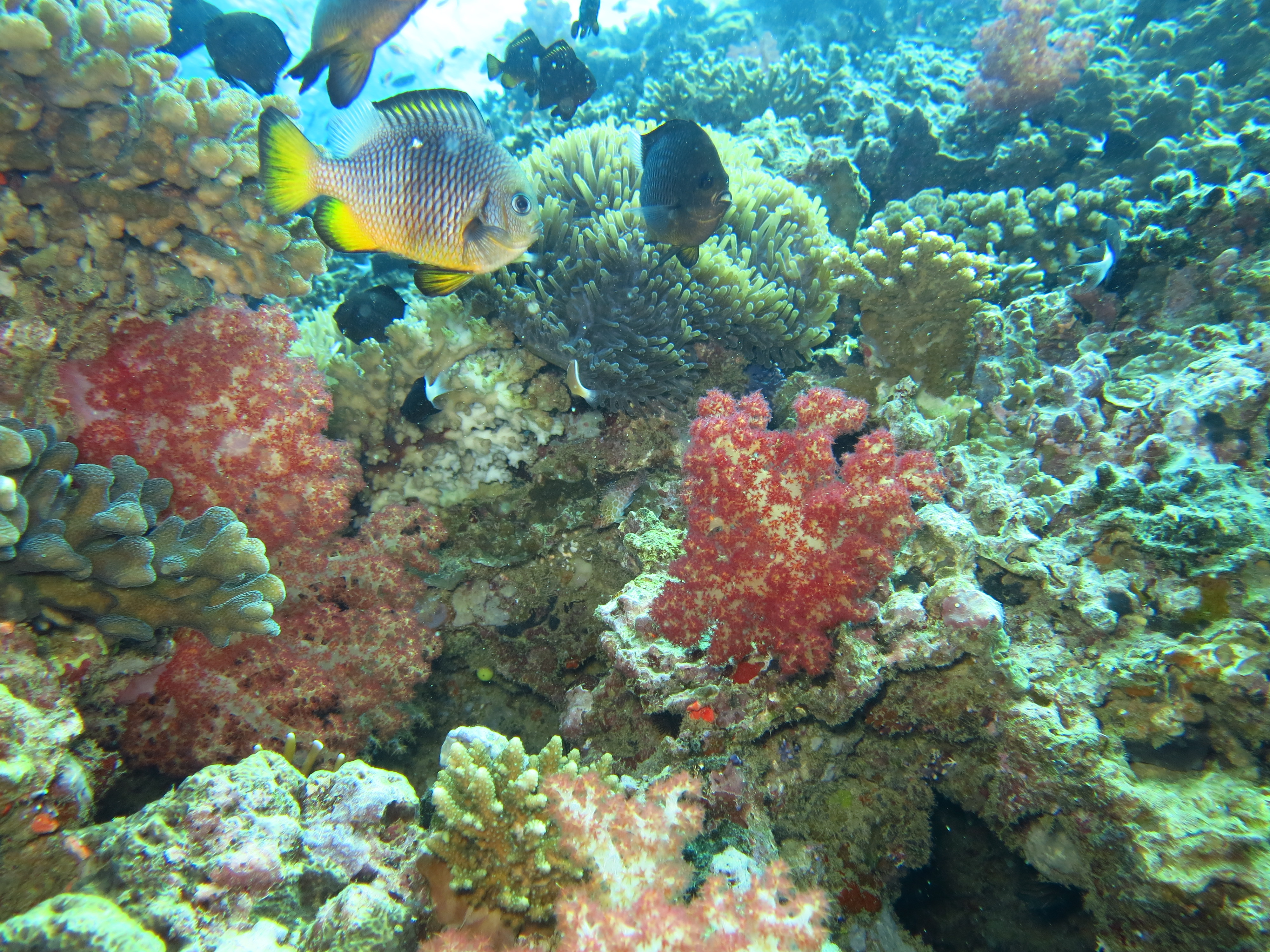
What is coral

  • Coral is made up of the animal, the coral polyp and the secreted calcium carbonate skeleton.
  • When the coral polop dies, the calcium carbonate skeleton remains, and the new generationns of coral polyps are able to grow on top of the existing layer, allowing the coral to grow in size.
  • Cnidrian, same as jellyfish and sea anemones

WHERE IS IT FOUND?

  • Typically, coral likes to live in warmer waters in the tropical regions.
  • Coral tend to be shallow, as most need to reach sunlight, with their symbionts need to photosynthesize.

WHAT DO THEY EAT?

  • Coral polypus use their sticky tentacles to capture food particles drifting by in the water(things like plankton and detritus).
  • Typically coral feed during the night when there is less of a chance to be grazed on by predators such as parrot fish.
  • The tentacles are armed with stinging cells called nematocysts that are used to harpoon prey in the water column.
  • However, the main source of energy the coral receives comes from a tiny single cell algae that live within the tissues of the coral polyp called zooxanthellae.
  • This is a symboitic relationship between the coral polyp and the zooxanthellae, meaning both partners benefit.
  • The unicellular (single cell) zooxanthellae uses sunlight to photosynthesize, like plants do, and creates sugar.
  • Excess sugar created by the algae is given to its host, the coral polyp.
  • In exchange, the zooxanthellae are provided a safe place to live.

HOW DO THEY REPRODUCE?

  • Asexual reproduction: Corals reproduce asexually by the process of budding.
  • A clone is fromed from the parent coral polyp.
  • Sexual reproduction: Coral polyps reproduce sexually by means of external fertilization (fertilization of eggs from sperm occur outside the body of the coral polyp), or via internal fertilization (fertilization occurs inside the body of the coral polyp).
  • In some cases of external fertilization, coral will release both sperm and eggs into the water column in what is knows as 'coral spawning'.

WHAT IS THE GLOBAL IMPORTANCE OF CORAL?

  • Coral polyps are preyed upon many species of fish and other marine life.
  • Create important habitat for thing to live.
  • Nursery for baby fish ect.

WHAT ARE THE THREATS TO CORAL REEFS?

  • Delicate: anchors, people steppinng on them.
  • Pollution, run off waters from rain, eutrophicanion
  • Increasing water temperature
  • For more information to the threats of coral reefs see NOAAS website.
  • Coral bleaching (see page on coral bleaching).